Deuselbach am Erbeskopf im Naturpark Hunsrück- voll erschlossene Baugrundstücke in landschaftl reizvoller Lage
Exposé: Deuselbach am Erbeskopf im Naturpark Hunsrück- voll erschlossene Baugrundstücke in landschaftl reizvoller Lage
PLZ /Ort:
Kaufpreis
Grundstücksfläche
Flächen
Grundstücksfläche:
539,00 m²
Preise
Sonstiges
Ihre Objektnr.:
HS000392
Energiepass
Ausstattung
Objektbeschreibung
Die Hunsrückgemeinde Deuselbach ist ein idyllisch gelegener, vor allem aber ruhiger Wohnort, der zur Verbandsgemeinde Thalfang im Landkreis Bernkastel Wittlich gehört.
Der Ort liegt auf der nördlichen Seite des Erbeskopf, dem mit 816 Meter höchsten Berg von Rheinland Pfalz und unmittelbar am "Tor zum Nationalpark Hunsrück-Hochwald".
Die reizvolle Landschaft ist geprägt von ausgedehnten Wäldern, Wiesen und Feldern und dem Erbeskopf.
Deuselbach hat derzeit nur ca. 250 Einwohner, aber die Gemeindeverwaltung möchte, dass die Einwohnerzahl weiter wächst.
Sie trägt das ihre dazu bei, in dem sie insgesamt 8 Bauplätze ausweist, die wir exklusiv vermarkten dürfen.
Wir suchen daher Sie und Ihre Familie als zukünftige neue Einwohner des Dorfes.
Hier lässt sich die Realisierung Ihres Traumes vom eigenen Zuhause mit dem Erwerb des Bauplatze starten.
Die Grundstücke sind erschwinglich und der Kauf für Sie provisionsfrei.
Vom kleinsten mit 539 qm bis zum größten mit 857 qm, steht für jeden Bedarf ein passender Bauplatz zur Wahl.
Alle Grundstücke sind voll erschlossen, der Erwerb unkompliziert und die Baugenehmigung wird schnellstmöglich erteilt.
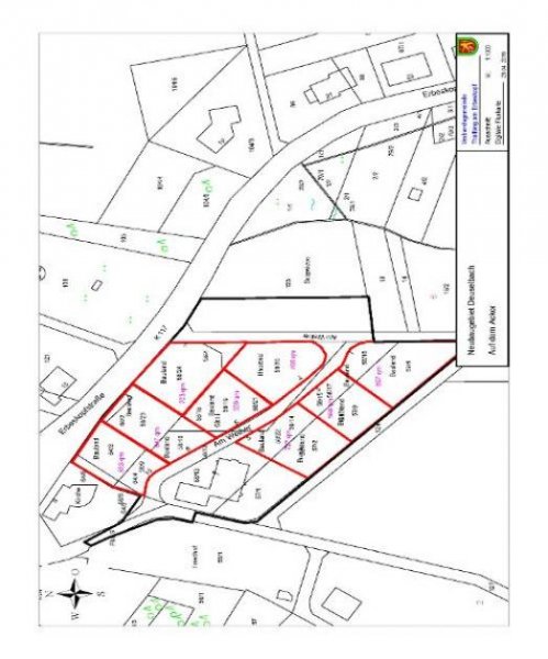
Folgende Bauplätze stehen zum Kauf:
Bauplatz am Weiher 1 - 857 qm - Kaufpreis 38.565,- € - derzeit frei verfügbar
Bauplatz am Weiher 2 - 703 qm - Kaufpreis 31.635,- € - derzeit reserviert
Bauplatz am Weiher 3 - 598 qm - Kaufpreis 26.910,- € - derzeit frei verfügbar
Bauplatz am Weiher 4 - 706 qm - Kaufpreis 31.770,- € - derzeit frei verfügbar
Bauplatz am Weiher 5 - 727 qm - Kaufpreis 32.715,- € - derzeit frei verfügbar
Bauplatz am Weiher 6 - 539 qm - Kaufpreis 24.255,- € - derzeit frei verfügbar
Bauplatz am Weiher 8 - 647 qm - Kaufpreis 29.115,- € - derzeit frei verfügbar
Bauplatz am Weiher 10 - 553 qm - Kaufpreis 24.885,- € - derzeit frei verfügbar
Die Bebauung muss nach Bebauungsplan erfolgen . Die GRZ liegt bei 0,4 und die GFZ bei 0,8
Die Bebauungsfrist liegt bei 5 Jahren.
Lage
Deuselbach im Hunsrück heißt Sie herzlich willkommen.
Hier liegen die 8 angebotenen Bauplätze am Rande des Oberdorfes, die sich auf eine größere, leicht abfallende Fläche zwischen der " Erbeskopfstraße" und der Straße "am Weiher", bzw. einem Feldweg erstrecken.
Eine lockere Bebauung zum Dorf hin, ein kleiner Hain mit einem idyllisch angelegten Weiher, sowie angrenzende Waldflächen bilden den optischen Rahmen.
Natürlich hat ein so kleiner Ort keine großartige Infrastruktur, aber es gibt den Hofladen, eine Naturheilpraxis oder ein Massagestudio, ein Gemeindehaus für die Feiern am Ort und die eine oder andere Sehenswürdigkeit und ansonsten .. viel Natur.
Ein aktives Vereinsleben mit Schwimmclub, Tennisclub, Skisportclub, Gesangverein und natürlich der Feuerwehr, bietet Ihnen neue Kontakte und Aktionsfelder.
Ein "Haus des Gastes" dient den Vereinen als Stützpunkt und als Veranstaltungsort für die kulturellen Aktivitäten der Dorfgemeinschaft
Die Versorgung mit den Gütern des täglichen Bedarfs wird durch das nur wenige Kilometer entfernte Unterzentrum Thalfang sichergestellt. Hier befinden sich alle wichtigen Einrichtungen wie Verwaltung, Schulen, Lebensmittelmärkte, Gewerbe- und Handwerksbetriebe, Gastronomie, ein öffentliches Schwimmbad und eine sehr gute medizinische Grundversorgung.
Deuselbach ist verkehrsmäßig gut angebunden. Über die B327 Hunsrückhöhenstraße, die in kurzer Entfernung am Ort vorbeiführt, einreichen Sie die Autobahn A 1/ 62 Trier-Kaiserslautern, bzw. Trier-Saarbrücken, in ca. 10 Minuten.
Bis Morbach benötigen sie ca. 10 Minuten, bis zum Flughafen Hahn ca. 20 Minuten.
Sonstige Angaben
Von Schlapp Immobilien – Denn wir vermitteln Ihnen Zufriedenheit
Nutzen Sie die Kontaktmöglichkeit über dieses Exposé und vereinbaren unverbindlich einen Besichtigungstermin. Ich werde mich umgehend mit Ihnen zwecks Terminabstimmung in Verbindung setzen.
Ihr Ansprechpartner für dieses Objekt:
Gudrun Steffes
Tel.: +49 (0)6501 – 60 69 607
Mobil:+49 (0)177 – 21 92 166
www.schlapp-immobilien.de
www.verkehrswert-ermitteln.de
www.facebook.com/von.schlapp.immobilien
www.twitter.com/von_schlapp
Hinweis zum Exposé Inhalt:
Unser Exposé basiert auf Angaben unserer Auftraggeber. Für die Richtigkeit, Vollständigkeit sowie der Aktualität der im Exposé befindlichen Angaben können wir daher nicht garantieren. Die im Exposé angegebenen Flächenangaben beruhen ebenfalls auf Angaben unserer Auftraggeber und sind unverbindlich.
Beim Kauf älterer Bestandsimmobilien erweist sich die Hinzuziehung eines Fachmannes / eines Sachverständigen vor Vertragsabschluss als ratsam, da offene und versteckte Mängel, die auch dem Verkäufer oftmals nicht bekannt sind, zu erheblichen finanziellen Mehraufwand nach Kauf führen können.
Wir empfehlen Ihnen daher als Käufer vor Erwerb einer älteren Immobilie einen unabhängigen Gutachter in Anspruch zu nehmen!
Kostenfrei Verkehrswert Ihrer Immobilie ermitteln unter http://www.verkehrswert-ermitteln.de
------------------------------------------------------------------------------------------
ACHTUNG TIPPGEBER!
Sie kennen jemanden in der Familie, im Freundeskreis, im Bekanntenkreis, im Büro oder im Verein, der gerade seine Immobilie verkaufen möchte oder zumindest mit dem Gedanken spielt?
Dieser Tipp kann sich für Sie auszahlen!
Sprechen Sie uns an!
Wir zahlen Ihnen eine überdurchschnittliche Prämie.
Grundstück Deuselbach
Das Immobilieninserat gehört zur Kategorie Deuselbach. Rheinland-Pfalz ist die geografische Zuordnung dieses Objektes zum mieten und kaufen.
Die Angeben des Anbieters lauten von Schlapp Immobilien - Nadia Schlapp Ansprechpartner Ralf Schlapp, Schimmelhof 1 in 54338 Schweich.
Synonyme zur Suche Deuselbach Grundstück:
Deuselbach Grundstück Gemarkung, Grundstücke Deuselbach, Grundstücksangebote Deuselbach









